Παράκαμψη προς το κυρίως περιεχόμενο
Αρχική
Μενού
  • Βιβλιοθηκες
  • Aρθρα - Αποψεις
  • Ειδησεις
  • Κοινωνικη Ευθυνη
  • Επιστήμη - Τεχνολογία - Καινοτομία
  • Προτασεις
  • Επικοινωνια

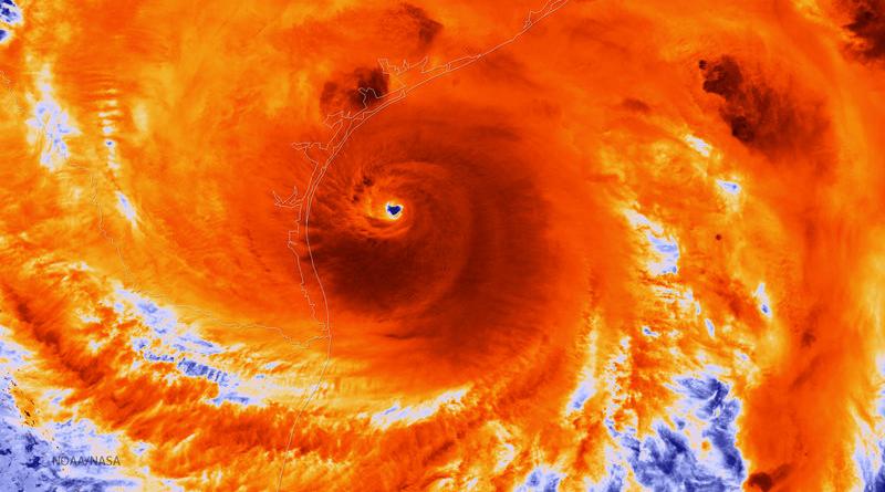
Record Heat In The Gulf Fueled Hurricane Harvey's Deluge

28 05 2018 | 14:40

Record Heat In The Gulf Fueled Hurricane Harvey's Deluge

Tags

  • Κλιματική Αλλαγή

Σχετικά Άρθρα

31 03 2026 | 11:37

White House’s ‘Drill Baby Drill’ Wartime Mandate Meets Volatile Market Reality

31 03 2026 | 08:52

Στο Μεξικό σε Κοινοβουλευτικό Φόρουμ για τους Ωκεανούς η Δρ. Αυγερινοπούλου - φέροντας ως παράδειγμα την παγκόσμια ηγεσία της Ελλάδας στην προστασία της θάλασσας

26 03 2026 | 18:19

‘Climate change is here’: Experts warn environmental crisis is decades ahead of forecasts

Δημοφιλή Άρθρα

Report Shows Earth’s Climate is Out of Balance, as Indicators Hit New Extremes

Το παράδοξο της ελληνικής αγοράς ηλεκτρισμού: Με μηδενική τιμή χονδρικής, ο καταναλωτής…

Climate-Fueled Wildfires and Dust Storms Drove Up Air Pollution Around the World Last Year

Iran war's environmental toll could leave damage and health risks for decades,…


Αρχική
  • Βιβλιοθηκες
  • Aρθρα - Αποψεις
  • Ειδησεις
  • Κοινωνικη Ευθυνη
  • Επιστήμη - Τεχνολογία - Καινοτομία
  • Προτασεις
  • Επικοινωνια
© Copyright 2019. All Rights Reserved.
Εψιλον Πληροφορική Maintenance & Support